![]()
Cambio climático y Tifón Haiyan
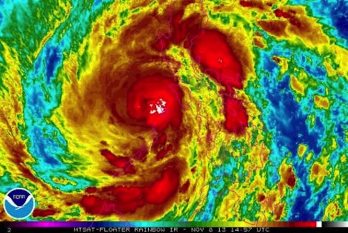
Según un informe hecho público por la Organización Meteorológica, este es el séptimo año más cálido desde que en 1850 comenzaron los registros. Aunque la actividad ciclónica tropical global se sitúa en la media, es superior en el Pacífico Norte. La OMM señala que el Haiyan no puede ser directamente atribuido a los efectos del cambio climático y advierte de que «los niveles superiores del mar están haciendo ya a las poblaciones costeras más vulnerables a las tormentas» lo que origina «consecuencias trágicas» como las vividas en Filipinas en la que han muerto más de 3000 personas.
“En cuanto a las temperaturas, los primeros nueve meses de 2013 -de enero a septiembre- empatan con 2003 como el séptimo más cálido en este período de la historia, con 0,48 grados centígrados, lo que supone temperaturas superiores a las registradas entre 1961 y 1990.”

«El documento añade que ni el fenómeno atmosférico de La Niña, ni el de El Niño estuvieron presentes durante estos primeros nueve meses de 2013 y no se espera que aparezcan en lo que queda de año, y subraya que ambos fenómenos son «un importante motor» del clima. En este punto, hace alusión a 2010 y 1998, cuando se vivieron episodios de El Niño y se sitúan entre los más calurosos desde que se tienen registros.»
[youtube]http://www.youtube.com/watch?v=Ke6ureLcpkk[/youtube]
«En cuanto a las precipitaciones por regiones, la OMM indica que fueron extremas en Alemania, Polonia, Austria y Suiza, por las inundaciones provocadas por los ríos Elba y Danubio, las mayores desde 1950. Sin embargo, la sequía afectó Brasil y gran parte de América del Sur, donde se registró uno de los mayores déficits de lluvia desde 1979.»

«En este punto, la declaración provisional de la OMM confirma que el nivel del mar mundial alcanzó un nuevo máximo histórico, al aumentar alrededor de 3,2 milímetros por año desde 1993, por lo que se duplica la tendencia observada durante el siglo pasado, de 1,6 milímetros por año.»

«En cuanto al hielo marino del Ártico, la OMM señala que se recuperó ligeramente en 2012, aunque este 2013 aún se encuentra en los niveles más bajos de su historia. El Ártico alcanzó su punto más bajo del hielo marino en su ciclo anual el 13 de septiembre, con 5,10 millones de kilómetros cuadrados, el sexto más pequeño de la historia.»
«Mientras, por segundo año consecutivo, la extensión del hielo del mar Antártico alcanzó un máximo récord de 19,47 millones kilómetros cuadrados el pasado mes de septiembre, según NSIDC. Se trata de unos 30.000 kilómetros más que el récord anterior establecido en 2012, y es un 2,6 por ciento superior a la media de 1981-2010.»
[youtube]http://www.youtube.com/watch?v=ocOMA_1vtp4&feature=player_embedded#![/youtube]
[youtube]http://www.youtube.com/watch?v=Tf7HPwj8vfE&feature=fvwk[/youtube]

¿Qué se está haciendo para prevenir los posibles efectos?
